ID CP1723646

Teren intravilan 3707 mp - Aviatiei

ID CP1723646

2,112,990 €

Teren de 3,707 mp de vânzare
Aviatiei, Bucuresti
3,707 mp

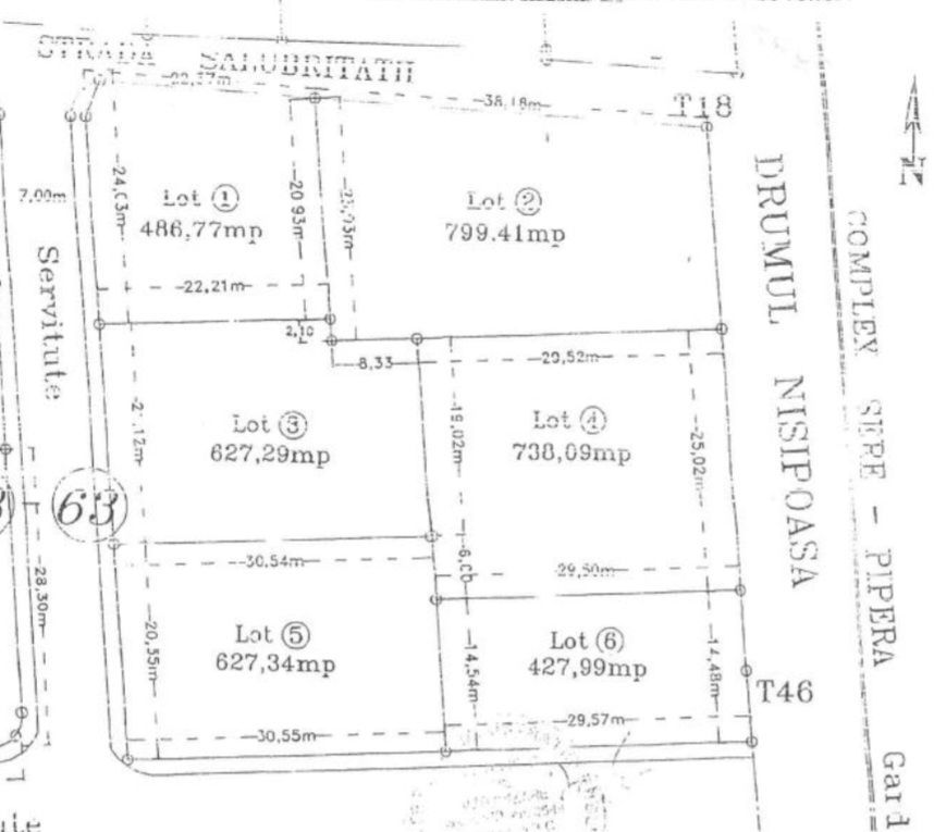
Va propunem spre achizitie un teren intravilan cu destinatia curti-constructii cu suprafata de 3707 metri patrati, aflat la intersectia strazilor Salubritatii cu Drumul Nisipoasa, terenul este aproximativ patrat si are latura dinspre str. Salubritatii de 60,55 metri si latura dinspre str. Drumul Nisipoasa de 64,70 metri.

Terenul este format din 6 loturi alipite fiecare cadastrat individual.

Terenul are un CUT de 2.2 si un POT de 60% si inaltimea maxima de 21 metri si se poate construi blocuri cu regim de inaltime P+4.

Terenul dispune de toate utilitatile: electricitate, gaze, apa, canalizare, iar in prezent gazduieste terenuri de tenis de camp.

Citește mai mult

  • Tip teren
    Construcții
  • Suprafață teren
    3,707 mp
  • Front stradal
    65.0 m
  • Număr fronturi stradale
    3
  • Deschidere la
    Șosea
  • Clasificare
    Intravilan
  • Valoare incidență
    259.09
  • Disponibilitate
    Imediat
  • CUT
    2.2
  • POT (%)
    60.0
  • Certificat de urbanism
    Da
  • Număr etaje clădire
    4

Facilități

Acces auto
Apă
Canalizare
Curent
Gaz
Iluminat stradal
La șosea
Mijloace de transport în comun
Străzi asfaltate
Utilități în zonă
Alexandru Vladarau - Smash Free
Alexandru Vladarau
Consultant imobiliar

0766077555


Solicită chiar acum o vizionare
Telefon
Sună acum Solicită vizionare
Necesare:

Site-ul nu poate funcționa corect fără aceste cookie-uri. Vezi cookie-urile

Statistică:

Strângem statistici anonime despre voi, vizitatorii unici, pentru a vă îmbunătăți experiența dumneavoastră. Vezi cookie-urile

Marketing:

Pentru a ne promova mai eficient serviciile noastre, folosim cookies pentru a vă identifica și a vă oferi proprietăți și servicii personalizate. Vezi cookie-urile

Acest site folosește cookies, află detalii. Alege ce tipuri de cookies dorești să permitem: